05 Sep 2022, 13:37
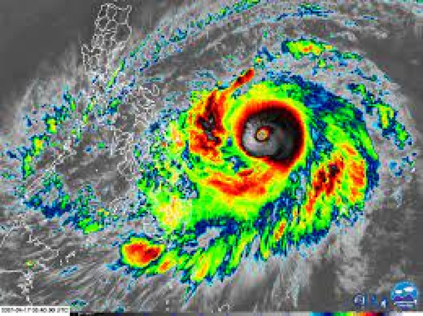
ސޯލް (5 ސެޕްޓެމްބަރު 2022) : މި އަހަރުގެ މިހާތަނަށް ދުނިޔޭގައި އުފެދުނު އެންމެ ބާރުގަދަ ތޫފާން "ހިއްނަމޯރު" ދެކުނު ކޮރެޔާއަށް އަރަން ގާތްވުމާއެކު އެގައުމުގެ ކުންފުނިތަކާއި ސަރުކާރުގެ އޮފީސްތަކާއި ކާރުޚާނާތައް ބަންދުކޮށް ވަގުތީ ގޮތުން މަސައްކަތްތައް ހުއްޓާލައިފިއެވެ.
މިޑީއާ ރިޕޯޓްތައް ބުނާގޮތުން މާދަމާ ހެނދުނުގެ ވަގުތެއްގައި މި ތޫފާން ދެކުނު ކޮރެއާއަށް އަރާނެއެވެ. "ހިއްނަމޯރު" އަކީ 2022 ވަނަ އަހަރު ދުނިޔޭގައި އުފެދުނު އެންމެ ބާރުގަދަ ތޫފާންގެ ގޮތުގައި ކަނޑައަޅާފައިވާ ތޫފާނެވެ. އެއީ އެ ތޫފާނުގެ ވައި ހުރީ ތޫފާން ތަކުގެ ކެޓަގަރީތަކުގެ ތެރެއިން ފަސް ވަނަ ކެޓެގަރީގެ ފެންވަރުގައި ކަމަށްވާތީއެވެ.
ފަސް ވަނަ ކެޓެގަރީގެ ތޫފާނެއް މިއަހަރުގެ މިހާތަނަށް ދުނިޔޭގެ އެހެންތަނެއްގައި އުފެދިފައެއް ނުވެއެވެ. "ހިއްނަމޯރު" ތޫފާން އުފެދިފައިވަނީ ރީނދޫ ކަނޑާއި އުތުރު ޗައިނާ ކަނޑު ގުޅިފައިވާ ހިސާބުގައި ޕެސިފިކް ކަނޑުގެ ހުޅަނގު އުތުރު ސަރަހައްދުގައެވެ.
މި ތޫފާންގެ ވައި ހުރީ ގަޑިއަކު 220 ކިލޯމީޓަރުގެ ބާރުމިނުގައެވެ. ނަމަވެސް ގަޑިއަކު 262 ކިލޯމީޓަރަށް އެތޫފާންގެ ވައިގެ ބާރުވެދާނެކަމުގެ ބިރު އެބައޮތެވެ. ދެކުނު ކޮރެއާގެ އިރުމަތީ އައްސޭރިފަށަށް މި ތޫފާން އަރާއިރު ގަޑިއަކު 262 ކިލޯމީޓަރަށް ބާރުމިނުގައި ވައިޖެހުން އެކަށީގެންވާކަމަށާއި ނަމަވެސް ފަހުން ވައި މަޑުވާން ފަށާނެ ކަމަށް އެމެރިކާގެ ޖޮއިންޓް ޓައިފޫން ވޯނިންގް ސިސްޓަމްއިން ލަފާކުރެއެވެ.

ދެކުނު ކޮރެއާގެ މޫސުމާބެހޭ އިދާރާއިން ލަފާކޮށްފައިވާ ގޮތުގައި "ހިއްނަމޯރު" ފުރަތަމަ އަރާނީ އެ ގައުމުގެ ބަނދަރުމަތީ ރަށެއް ކަމުގައިވާ ބޫސާންއަށެވެ. މިއަދުގެ ހެނދުނުން ފެށިގެން ދެކުނު ކޮރެއާގެ ދެކުނުގައިވާ ޖޭޖޫ ޖަޒީރާތަކަށް "ހިއްނަމޯރު" ވައިގެ އަސަރު ވަނީ ކުރަން ފަށާފައެވެ.
މޫސުމާބެހޭ ދެކުނު ކޮރެއާގެ އިދާރާއިން ބުނާގޮތުން "ހިއްނަމޯރު" ތޫފާނުގައި އިންތިހާއަށް ވައި ބާރުވެ، ބޯކޮށް ވާރޭ ވެހޭނެއެވެ. އަދި ކަނޑުތައް ގަދަވެ ބޮޑެތި ރާޅުތައް އުފެދި އެރާޅުތައް އެގައުމުގެ އިރުމަތީ އައްސޭރިފަށުގެ ސަރަހައްދުތަކަށް އުދައާއެކު އަރާނެއެވެ. މި ތޫފާން ވައިގައި ދަތުރު ކުރަމުން ދަނީ ގަޑިއަކު 19 ކިލޯމީޓަރުގެ ބާރު މިނުގައި ދެކުނުން އުތުރަށެވެ.
ޕެސިފިކް ކަނޑުގައި މިއަހަރު ތެރޭގައި 13 ތޫފާނެއް އުފެދިފައި ވީނަމަވެސް އޭގެތެރޭގައި "ހިއްނަމޯރު" ވަރުގެ ބާރުގަދަ ތޫފާނެއް ހިމެނިފައެއް ނުވެއެވެ. މި 13 ތޫފާންގެ ތެރޭގައި ގިނައީ އާދައިގެ ތޫފާންތަކެވެ. ޕެސިފިކް ކަނޑުގެ ހުޅަނގާއި އެޓްލާންޓިކް ކަނޑުގެ އިރުމައްޗަކީ ދުނިޔޭގައި އެންމެ ގިނައިން ތޫފާންތައް އުފެދޭ ދެ ސަރަހައްދެވެ.
"ހިއްނަމޯރު" ތޫފާނުން ދެކުނު ކޮރެއާއަށް ބޮޑެތި ގެއްލުންތަކެއް ލިބޭނެކަމަށް ބެލެވޭއިރު ގެއްލުންތައް ކުޑަކުރުމަށްޓަކައި އެގައުމުން ގެންދަނީ ރައްކާތެރިކަމުގެ ގިނަ ފިޔަވަޅުތަކެއް އަޅަމުންނެވެ. އޭގެތެރޭގައި ތޫފާން އަރާނެކަމަށް އެންމެ ބޮޑަށް ބެލެވޭ ސަރަހައްދުތަކުގައި ދިރިއުޅޭ މީހުން ރައްކާތެރި ތަންތަނަށް ބަދަލުކުރުމާއި ކުންފުނިތަކާއި ސަރުކާރުގެ އޮފީސްތަކާއި ކާރުޚާނާތައް ވަގުތީ ގޮތުން ބަންދުކުރުމާއި ޑިޒާސްޓާ މެނޭޖްމަންޓްގެ ކަންކަމަށް ތައްޔާރުވެ ތިބުން ހިމެނެއެވެ.
"ހިއްނަމޯރު" ތޫފާނުގެ ސަބަބުން ލިބޭނެކަމަށް ބެލެވޭ ގެއްލުންތައް ކުޑަކުރަން އަޅަންޖެހޭ ރައްކާތެރިކަމުގެ ހުރިހާ ފިޔަވަޅުތަކެއް އެޅުމަށް ދެކުނު ކޮރެޔާގެ ރައީސް ޔޫން ސުކްޔޯލް ވަނީ އެގައުމުގެ ކަމާބެހޭ މުއައްސަސާތަކަށާއި އާންމު ރައްޔިތުންނަށް ވެސް ގޮވާލައްވާފައެވެ. މީގެތެރޭގައި ތޫފާންގެ ވަގުތުގައި އާންމުން ބޭރަށް ނުކުމެ ނޫޅުން ހިމެނެއެވެ.